Reklama

Kłopotliwe skrzyżowanie w Jeleniu – czy zostało zaproponowane dobre rozwiązanie?

AWAP
16/04/2015 13:52

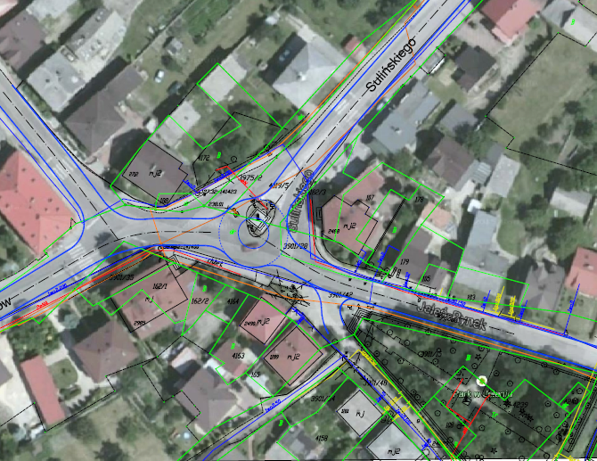
Zagospodarowanie przestrzeni rynku w Jeleniu, w ramach projektu „Miasto siedmiu rynków” zakłada nowe rozwiązania dla dotychczasowego skrzyżowania.


Zmodernizowany rynek ma być miejscem estetycznym, zadbanym i przede wszystkim bezpiecznym dla kierowców, rowerzystów i pieszych, dlatego w projekcie pojawiły się propozycje zmiany organizacji ruchu.

Zaproponowano rozsunięcie ul. Sulińskiego i Celników, i podporządkowanie ich do ul. Jeleń Rynek, aby w ten sposób powstały dwa skrzyżowania z mniejszą ilością punktów kolizyjnych. Ten pomysł spotkał się z sporą krytyką mieszkańców, głównie osób, które poruszają się po Jeleniu samochodami. Wskazali oni na problem dużego natężenia ruchu, sugerując, że takie rozwiązanie nie poprawi sytuacji, tylko ją pogorszy.

Kontrowersje budzi pomysł wyłącznie fragmentu drogi z ruchu, co może skutkować utrudnieniami dla pojazdów ciężarowych i autobusów.  W projekcie pojawiła się również propozycja wprowadzenia tzw. mijanek oraz progów zwalniających, których celem będzie uspokojenie ruchu. Jak zauważyli mieszkańcy, przed skrzyżowaniem i tak należy zwolnić, więc takie rozwiązania są niepotrzebne, a mogą się wiązać tylko z dodatkowymi kosztami.

Po sugestiach mieszkańców pojawiły się jeszcze propozycje dwóch mini rond oraz jednego ronda oraz przeniesienia pomnika (który może utrudnia widoczność) na pobliskie planty.

W chwili obecnej mieszkańcy nie wiedzą, który z projektów zostanie zatwierdzony i wykonany. Prawdopodobnie odbędzie się jeszcze jedno spotkanie, na którym zostanie przedstawiona nowa koncepcja.

 

[vc_facebook type="standard"]

Aplikacja jaw.pl

Jeśli jeszcze tego nie zrobiłeś koniecznie zainstaluj naszą aplikację, która dostępna jest na telefony z systemem Android i iOS.


Aplikacja na Androida Aplikacja na IOS

Obserwuj nas na Obserwuje nas na Google NewsGoogle News

Chcesz być na bieżąco z wieściami z naszego portalu? Obserwuj nas na Google News!

Reklama

Komentarze opinie

  • Awatar użytkownika
    user1 - niezalogowany 2015-04-16 20:07:56

    Nie tylko centrum całego miasta, ale też centra dzielnic takich jak Jeleń powinny być przede wszystkim dla ludzi, nie dla samochodów. Po znajdującym się tam wielkim asfaltowym placu może i łatwo jeździ się tirem, ale szerokie łuki umożliwiające skręcanie samochodem z dużymi prędkościami powodują zagrożenie dla pieszych. W materiale jest pewna nieścisłość (delikatnie mówiąc), gdyż p. Kaptur mówił o tym, że zwolnić trzeba dojeżdżając do szczególnego rodzaju skrzyżowania, jakim jest rondo, a niekoniecznie do każdego rodzaju skrzyżowania. W koncepcji zamieszczonej w gazecie, ale już nie w materiale na jaw.pl, spowalniacze ruchu były proponowane akurat nie koło ronda, ale na normalnej drodze z pierwszeństwem. W takiej sytuacji wyniesione przejście dla pieszych poprawiłoby bezpieczeństwo, natomiast co do mijanek: "Wadą łuków i zwężeń jest trudność przewidzenia, jaki tor jazdy wybiorą kierowcy. Ponadto, w przypadku, kiedy rowerzysta i samochód razem pokonują zwężenie czy zakręt, istnieje prawdopodobieństwo, że kierowca "zetnie" skręt tuż przed rowerem. Tak więc zakręty i zwężenia w żadnym wypadku nie są przyjaznym dla rowerzystów rozwiązaniem ograniczającym szybkość. Ich zastosowanie na trasach rowerowych nie jest rekomendowane, o ile obok zakrętu czy zwężenia nie ma specjalnego przejazdu dla rowerzystów w obu kierunkach." (Źródło: "Postaw na rower")

    odpowiedz
    • Zgłoś wpis

Podziel się swoją opinią

Twoje zdanie jest ważne jednak nie może ranić innych osób lub grup.


Reklama

Wideo jaw.pl




Reklama