Reklama

Miasto sprzedaje działkę przy ul. Obrońców Poczty Gdańskiej

Jaw.pl - Jaworznicki Portal Społecznościowy
04/09/2022 22:29
Miasto Jaworzno sprzedaje gminną działkę położoną przy ul. Obrońców Poczty Gdańskiej.
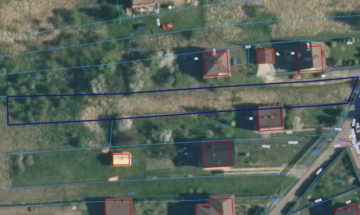
Na sprzedaż jest działka gminna nr 4803 o pow. 1619 m² w obr. geod. 200. Teren przeznaczony jest pod zabudowę jednorodzinną.

Nieruchomość jest niezabudowana, ma kształt prostokąta, porośnięta roślinnością niską. Teren działki niezagospodarowany. Przez działkę nie przebiega kolidujące uzbrojenie. Przy granicy działki, na niewielkim fragmencie usytuowana jest część ogrodzenia nieruchomości sąsiedniej. Najbliższe otoczenie działki stanowi wolnostojąca zabudowa mieszkaniowa jednorodzinna oraz tereny niezabudowane. Nieruchomość posiada dostęp do drogi publicznej o nawierzchni asfaltobetonowej. Uzbrojenie terenów sąsiednich stanowią sieci: energetyczna, wodociągowa oraz telekomunikacyjna.

Ceza wywoławcza za działkę to 238.970,00 zł. Wadium wynosi 36 tys. zł. Należy je wpłacić do 28 września.

Przetarg odbędzie się 5 października 20 22 r. w sali nr 045 Urzędu Miejskiego w Jaworznie,
ul. Grunwaldzka 33 o godzinie 11:00.

Więcej: https://bip.jaworzno.pl/a,42089,prezydent-miasta-jaworzna-o-g-l-a-s-z-a-pierwszy-przetarg-ustny-nieograniczony-na-sprzedaz-dzialki-g.html

źródło: UM Jaworzno

[vc_facebook]

Aplikacja jaw.pl

Jeśli jeszcze tego nie zrobiłeś koniecznie zainstaluj naszą aplikację, która dostępna jest na telefony z systemem Android i iOS.


Aplikacja na Androida Aplikacja na IOS

Obserwuj nas na Obserwuje nas na Google NewsGoogle News

Chcesz być na bieżąco z wieściami z naszego portalu? Obserwuj nas na Google News!

Reklama

Komentarze opinie

Podziel się swoją opinią

Twoje zdanie jest ważne jednak nie może ranić innych osób lub grup.


Reklama

Wideo jaw.pl




Reklama
Wróć do